- Veterinary View Box
- Posts
- Airgun Injuries in Cats: New Insights on Spinal Trauma and Recovery
Airgun Injuries in Cats: New Insights on Spinal Trauma and Recovery
Journal of Feline Medicine and Surgery (2025)
Eirini Sarpekidou, Panagiota Svania, Michail Patsikas, Zoe Polizopoulou, George Kazakos,
Background
Gunshot-related spinal cord injuries in cats are rare and poorly documented in veterinary literature. Airgun projectiles, which are widely available and often used irresponsibly, can penetrate the spinal canal, leading to severe neurological deficits. This study retrospectively examines cases of airgun-induced spinal cord injury in cats, assessing clinical presentation, treatment options, and outcomes.
Methods
Medical records from 1998 to 2022 were reviewed for cats with neurological deficits linked to lodged 4.5 mm airgun projectiles in the spinal canal. Cats were classified by injury location (cervical, thoracolumbar, lumbosacral), severity of neurological signs, treatment approach (surgical vs. conservative), and season of presentation. Radiographic imaging confirmed projectile presence, and follow-ups assessed neurological recovery, mobility, and bladder function.
Results
The study included 23 cats, with the majority (74%) sustaining thoracic spinal injuries. Most cases (44%) were presented in autumn. Surgical management was performed in 87% of cases, while 4% received conservative treatment, and 9% were euthanized due to poor prognosis. Post-surgical outcomes varied: 30% regained voluntary movement, 20% developed spinal walking, and 50% remained unimproved. Micturition recovery was rare. Deep pain perception loss strongly correlated with poor prognosis.
Limitations
This retrospective study had a small sample size and lacked standardized treatment protocols. The exact time between injury and treatment was unknown, potentially influencing outcomes. Additionally, the conservative management group was too small to draw definitive comparisons with surgical intervention.
Conclusions
Airgun-induced spinal injuries in cats result in severe and often irreversible neurological deficits. While surgical decompression may benefit some cases, particularly those with asymmetrical injuries, overall prognosis for mobility and bladder function remains guarded. The study highlights the need for increased awareness and legal regulation of airgun use to prevent such injuries in companion animals

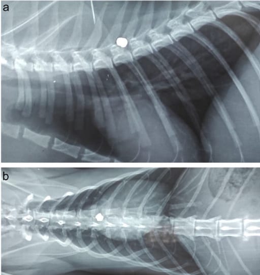
(a) Lateral radiograph showing the lodged airgun projectile (AGP) in the sixth thoracic vertebrae (patient 4); (b) dorsoventral radiograph showing the lodged AGP in the sixth thoracic vertebrae (patient 4)
How did we do? |
Disclaimer: The summary generated in this email was created by an AI large language model. Therefore errors may occur. Reading the article is the best way to understand the scholarly work. The figure presented here remains the property of the publisher or author and subject to the applicable copyright agreement. It is reproduced here as an educational work. If you have any questions or concerns about the work presented here, reply to this email.